CH. Gentiane du Val d'Ernee
femelle
Chien de Montagne des Pyrenees
née le
10/01/2011




novembre 2011

novembre 2011

novembre 2011

novembre 2011

novembre 2011

novembre 2011

novembre 2011

novembre 2011

novembre 2011

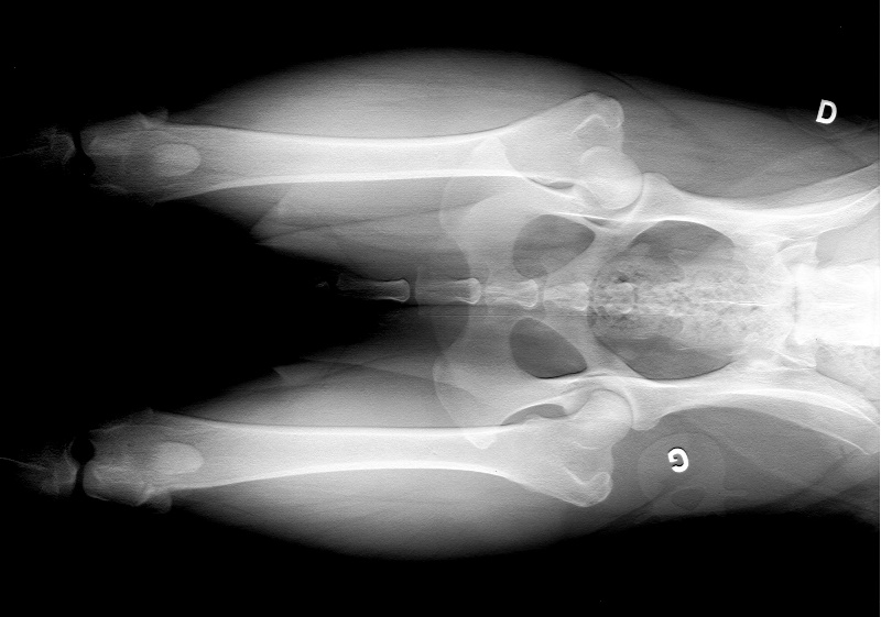
radio dysplasie

compte rendu dysplasie


Champion de France
Informations sur CH. Gentiane du Val d'Ernee
Sexe | Femelle |
Couleur | Blanc blaireau |
Puce | 250269604125863 |
Inscrit au LOF ? | LOF |
N° origine | 2MT.PYR 28684/3891 |
Cotation | 4 - Recommandé |
Adn | fait |
Tares |
Test de comportement RACP : apte dysplasie : B |
Les parents
Palmares de CH. Gentiane du Val d'Ernee
Champion de France
Les résultats de CH. Gentiane du Val d'Ernee
1 EXC classe champion CACIB BOS
27 / 03 / 2016 - Eposition Internationale d'Angers
Ville: Angers - CACIB - Juge : Mme Class
Joli chien très harmonieux Robe joliment tâchée Jolie tête expressive Très bonne construction générale Très bons aplombs Excellents mouvements Bien fonctionnelle
1Exc classe champion RCACIB
30 / 01 / 2016 - Expsition canine Mouscron
Ville: Mouscron - CACIB - Juge : Mme Cibot